?
2018-09-18 17:10?來源:臺風網綜合

山竹或被除名
山竹或被除名:9月17日晚,中央氣象臺已對臺風山竹停止編號,根據氣象預報,受臺風山竹影響,廣東、廣西等地今日仍有暴雨。因臺風山竹造成災害損失慘重,山竹可能會被除名。
臺風山竹”已停止編號 廣東、廣西局地仍有暴雨
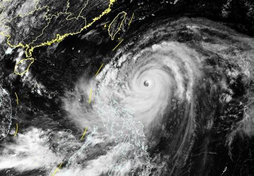
肆虐多日之后,從17日開始,被稱為“風王”的今年第22號臺風“山竹”,其能量逐漸減弱,影響力也漸漸變小。
根據中央氣象臺的監測,“山竹”17日下午在廣西西部減弱為熱帶低壓,此后繼續向西偏北方向移動,強度進一步減弱,目前已經很難確定其環流中心,中央氣象臺在17日20時停止對其編號。
從17日開始,廣東、海南等地因“山竹”而停運的高鐵、航運線路也逐漸恢復運營,民眾的工作生活正慢慢恢復正常。
“風王”雖已退場,但是余威仍然存在,中央氣象臺在17日18時發布了暴雨藍色預警。
預計17日20時至18日20時,廣東西南部、廣西、貴州、云南南部等地有大到暴雨,其中,廣東西南部和廣西東南部沿海局地有大暴雨(100~120毫米)。
此外,水利部和中國氣象局17日18時聯合發布山洪災害氣象預警,自然資源部與中國氣象局還聯合發布地質災害氣象風險預警。

山竹或被除名,臺風過后,廣州市珠光路倉前直街,垃圾堆積,一片狼藉。沈釗 攝
“山竹”造成哪些災害?傷亡人數較近年同級別臺風大幅減少
自“山竹”奔向華南以來,從國家層面到地方政府,連日來,多地多部門聯動迎戰今年來登陸中國的最強臺風。
根據應急管理部的統計,截至17日18時,廣東、廣西消防部隊出警2603次,出動消防員2萬余人次、車輛舟艇3635臺,營救群眾1629人,疏散群眾7530人。
登陸以來,“山竹”的肆虐帶來多少災害?據統計,截至17日18時,臺風“山竹”造成廣東、廣西、海南155萬人受災,4人因災遇難、1人失蹤,700余間房屋倒塌或嚴重受損。
17日下午,應急管理部召開抗擊臺風“山竹”視頻調度會,這次會議認為,從目前的情況看,臺風“山竹”與2008年“黑格比”、2015年“彩虹”、2017年“天鴿”相比,路徑相似、強度相近,但傷亡人數、失蹤人口、倒損房屋等都大幅度下降。
不過,這次會議同時強調,雖然當前臺風“山竹”已逐步減弱為熱帶低壓,但暴雨、大風等災害天氣仍將持續,臺風過境地區有可能出現城市內澇、洪水和地質災害。
特別是廣西、云南、貴州等前段時間雨水浸泡時間較長的山區,次生事故災害風險仍然較高,搶險救援、防災救災任務仍然很重。應急管理部要求,相關地區要繼續保持應急備戰狀態,不可掉以輕心、麻痹松懈,臺風一日不退、力量一日不撤。
網友熱議“山竹”該不該除名:截至目前已有36個臺風名稱被清除
“風王”、“超級臺風”、“最強臺風”……自“山竹”生成以來,輿論對于“山竹”威力的形容詞不斷涌現。
自“山竹”影響逐步顯現以來,華南多地網友就在互聯網上曬出“風王”的兇悍威力。
16日13時許,“山竹”登陸之前,深圳市氣象局官微“深圳天氣”甚至還@中央氣象臺,表示申請除名“山竹”,冷酷的“山竹”該不該除名也引發網友的討論。
中國氣象局臺風與海洋氣象預報中心首席預報員高拴柱介紹,臺風的名字,來自世界氣象組織所屬的亞太地區14個國家和地區各提供10個名字而組成的140個備用名。這140個名稱始終處于循環使用的狀態,直到“退役”的那一天。
專家介紹,對于造成特別嚴重災害的熱帶氣旋或因其他原因,臺風委員會成員都可以申請將該熱帶氣旋名稱從命名表中刪除。例如,曾給中國造成重大損失的2005年第19號臺風“龍王”、2013年第30號臺風“海燕”、2016年第14號臺風“莫蘭蒂”,它們都因為破壞力巨大,正式被除名。
據悉,截至目前,被除名的共有36個名稱,這些名稱將永遠代表它最后一次跟隨的臺風。此外,熱帶氣旋命名表上每一個名字的序列都是固定的,當某一名稱被除名后,提供該名稱的成員需提交一個新的名稱,填補這一序列空缺。
據介紹,2006年臺風“榴蓮”曾在菲律賓造成數百人死亡,因此,菲律賓在當年召開的臺風委員會年度會議上就提出將“榴蓮”除名。與此同時,提供“榴蓮”名稱的泰國則須在第二年召開的臺風委員會年度會議上提交新的名稱,“山竹”便由此而來。
本文“”來源:http://m.coweal.com/weather/taifeng/71316.html,轉載必須保留網址。編輯: yujeu